
So. It’s December 31, and that means one thing: that the world – and specifically, Axial Seamount, the volcano lying on the seafloor off of the Pacific Northwest – has just a handful of hours remaining to prove last year’s scientists right by erupting before the end of 2025.
Of course, as satisfying as such an event would be for those geologists and oceanographers who predicted the seamount’s eruption this year, it’s unlikely to occur – which is why the forecast has now been updated.
“It’s looking like we might have to add another year to our forecast window, based on the latest data,” mused Bill Chadwick, a research associate at Oregon State University’s Hatfield Marine Science Center, on the seamount blog he runs with University of North Carolina at Wilmington Professor of Geophysics Scott Nooner.
“At the current rate of inflation, we won’t get to that higher […] threshold until mid-to-late 2026,” he wrote.
So, why were scientists initially so confident that the seamount would erupt in 2025? And more to the point, why didn’t it?
A labor of lava
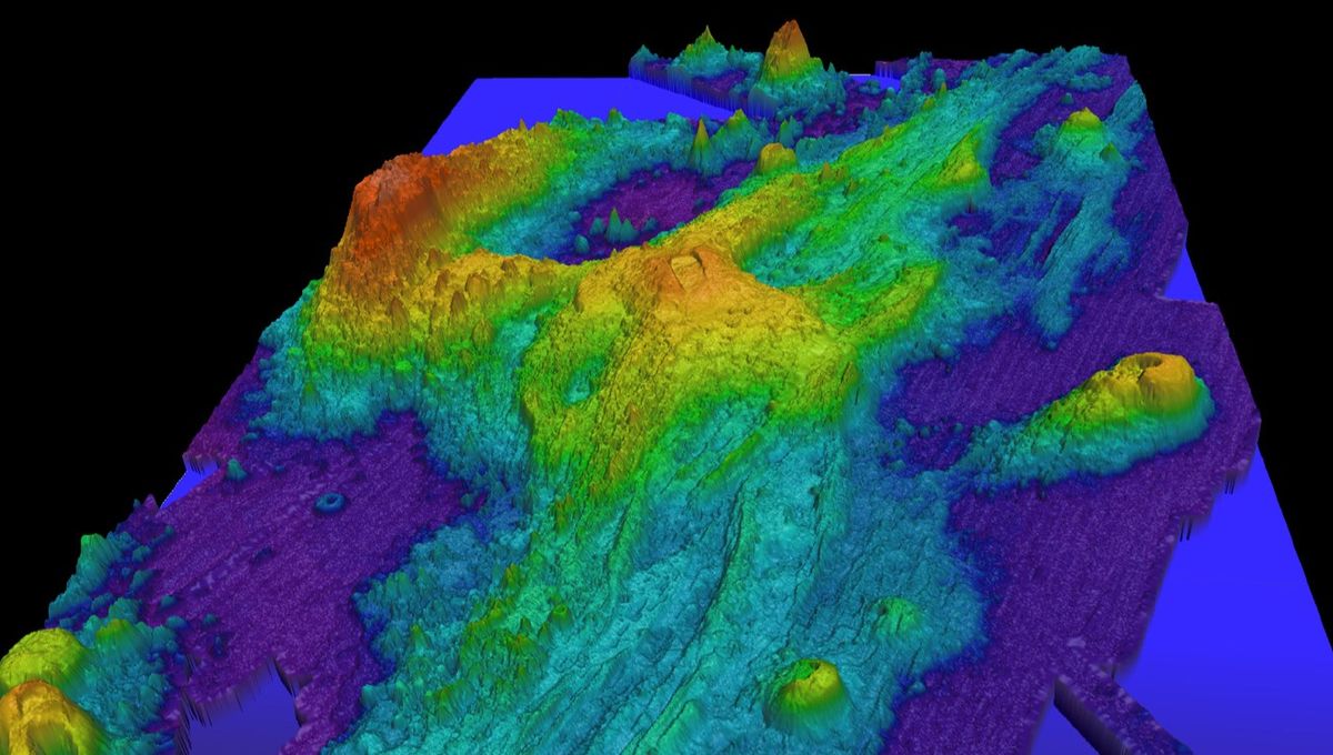
It’s important to understand just what a long shot this always was. Predicting volcanic eruptions is tricky at the best of times – and predicting them weeks or even months in advance is nigh-impossible. The reason anybody felt able to make any kind of statement about Axial Seamount’s potentially imminent eruption was simple: as a huge, active, and overall kind of weird volcano, we just have way more information about it than most others out there.
“[It’s] the most well-instrumented submarine volcano on the planet,” Mark Zumberge, a geophysicist at Scripps Institution of Oceanography in California, told Science News at the end of last year. It’s constantly monitored by sensors that provide real-time data on things like ocean floor movement, local seismic activity, and how much the surface of the volcano is growing over time. And it’s this last measure that, back in November of 2024, prompted Chadwick to take particular notice – because it was then that Axial’s inflation surpassed the levels it reached just before its last eruption back in 2015.
“Over time, the volcano inflates due to the buildup of magma beneath the surface,” explained William Wilcock, a professor at the University of Washington School of Oceanography, back in April. “Some researchers have hypothesized that the amount of inflation can predict when the volcano will erupt.”
“If they’re correct it’s very exciting for us, because it has already inflated to the level that it reached before the last three eruptions,” he said. “That means it could really erupt any day now, if the hypothesis is correct.”
Evidently, though, the hypothesis was wrong – or at least, incomplete. While the inflation has long surpassed the point at which Axial erupted back in 2015, it’s not yet at the slightly higher threshold that Chadwick and his colleagues now suspect would be required for a repeat explosion. “We’ve been assuming that the next eruption might be triggered somewhere between the 2015 threshold and +30 cm higher,” Chadwick wrote back in October. “We are now about 10 cm higher than the 2015 inflation threshold, with perhaps as much as 20 cm more to go.”
“But the slower the rate of inflation, the longer it will take to get there,” he explained – and “it seems like every time we try to estimate when the volcano might get there, the rate of inflation changes, making our forecast incorrect.”
Inflating importance
Of course, it could be that inflation just isn’t enough to predict an eruption – and indeed, the level of seismic activity at Axial is another metric oceanographers have been keeping their eye on throughout the past year. As huge as the seamount may have grown in 2025, there’s been notably little earthquake activity to accompany it – something that “also contribut[es] to that feeling that the forecast is running out of time and that nothing is imminent,” Chadwick wrote.
Even as late as October this year, Axial was only rarely seeing 1,000 earthquakes in a day – and on most, there was only around 100. That would be a lot if it were under your feet, of course, but it’s an order of magnitude lower than what experts would expect to precede an eruption. “If what we learned in 2015 is correct, I would expect to see more than 2,000 per day for a few months before the eruption,” said Deborah Kelley, a professor in the UW School of Oceanography and director of the Regional Cabled Array, which monitors the seamount, back in April.
Other potential cues for an eruption are even more esoteric. It sounds mad – or at least, vaguely Roman – to suggest that the position of the Sun and Moon might influence whether or not the local volcano erupts, but it could be true: after all, “when you see the ocean’s tides being moved up and down by the moon’s gravitational pull, it’s actually doing the same thing to the Earth,” pointed out Maya Tolstoy, a marine geophysicist and Maggie Walker Dean of the UW College of the Environment.
“At high tide the weight of the ocean presses down on the crust, and when that weight is ever so slightly decreased at low tide, the number of earthquakes increases,” she explained. It’s notable, too, that all three of the most recent eruptions have occurred between January and May, when the gravitational pull from the Sun is weakest – but whether that’s a genuine effect of our planetary position, or simple coincidence, can’t be disproven until Axial blows again.
The next wave
So, when will Axial erupt? Ultimately, it’s all still up in the air – or, in this case, under the sea. But as technology and hypotheses move on, Chadwick and other geologists hope that a new physics-based model might prove more accurate than their previous pattern-based predictions.
“A new experiment in eruption forecasting is starting this week using real-time data from the OOI Regional Cabled Array at Axial Seamount using a physics-based model developed by Qinghua Lei (Uppsala Univercity in Sweden) and Didier Sornette (ETH, Zurich, Switzerland),” announced Chadwick in a November entry on the Axial blog. “They have developed a general model for forecasting mechanical failure in a variety of geologic settings: landslides, rockbursts, glaciers, and volcanoes.”
It seems to be faring quite well so far: “In a couple recent scientific papers they have shown that their model can predict the time of failure in retrospect – that is, when analyzing monitoring data that has already been recorded and after the failure event has already occurred (including with some of our past data from Axial Seamount),” Chadwick wrote. But as to whether it can accurately predict future eruptions? Well, we can’t know if it works until an eruption actually occurs.
Nevertheless, “I’m looking forward to seeing how well it works,” Chadwick wrote, “particularly in comparison to our subjective attempts at forecasting, simply based on pattern-recognition.”
And hey, if all else fails – well, there’s always 2027.
Source Link: A Giant Volcano Off The Coast Of Oregon Failed To Erupt On Time. Its New Schedule: 2026